Le mégacolon chez le rat : Une origine génétique
Une maladie en expansion
Le mégacôlon est une pathologie qui sévit en France depuis une vingtaine d’années, probablement importée des Pays-Bas. Malheureusement, cette maladie devient de plus en plus fréquente.
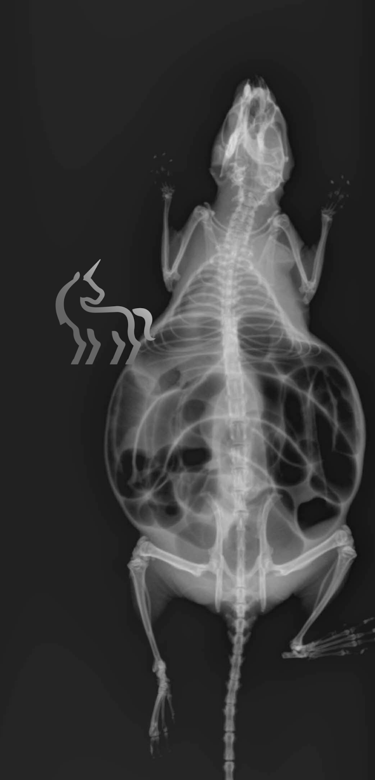
Des études anglaises ont mis en évidence une origine génétique. Elle est due à l’absence de cellules musculaires permettant la contraction normale du côlon, ce qui entraîne une paralysie et un gonflement du tube digestif rempli d’air.
Quels rats sont touchés ?
Tous les rats porteurs de cette anomalie génétique peuvent développer la maladie, mais elle apparaît généralement :
- Chez les jeunes rats de moins de 6 semaines.
- De plus en plus de cas sont signalés chez des rats âgés jusqu’à 10 mois.
Les rats « High White » (caractérisés par une forte proportion de pelage blanc) semblent plus souvent atteints, bien que cette maladie puisse toucher toutes les variétés.
Les symptômes du mégacôlon
Les signes cliniques sont caractéristiques :
- Ballonnement abdominal : Un gonflement important de l’abdomen dû à l’accumulation d’air et de matières non évacuées.
- Retard de croissance : Souvent associé à la maladie.
- Troubles digestifs : Constipation, diarrhée ou alternance des deux.
- Anomalies des crottes : Selles déformées ou non moulées correctement.
Un traitement est-il possible ?
Malheureusement, il n’existe pas de traitement curatif pour le mégacôlon d’origine génétique.
- Cas sévères : L’euthanasie est souvent conseillée pour éviter des souffrances inutiles.
- Cas modérés : Une alimentation adaptée (pauvre en résidus) combinée à des laxatifs peut offrir une meilleure qualité de vie à l’animal, bien que cette solution reste palliative.
Attention au diagnostic différentiel
Le mégacôlon génétique ne doit pas être confondu avec un mégacôlon acquis, qui peut survenir à la suite d’autres problèmes comme :
- Une occlusion intestinale,
- Une tumeur,
- Un abcès,
- Ou toute autre pathologie obstructive.
Dans ces cas, une prise en charge chirurgicale peut être envisagée. Le mégacôlon reste une pathologie complexe et douloureuse pour les rats. En cas de doute, n’hésitez pas à consulter un vétérinaire NAC pour un diagnostic précis et un accompagnement adapté.
Votre rat a le ventre gonflé ?
Un diagnostic précoce est essentiel pour le confort de votre animal.
Prendre rendez-vous NACExplorer nos dossiers et actualités
